あわせ買い対象
同生産者の別の「あわせ買い対象」商品と一緒にご注文いただくと、送料をまとめてお届けできる場合があります。
重量・ 容量 |
約1.5kg
|
| 発送 |
|
ヤマト運輸(食べチョク特別送料)
|
|
|
送料
|
¥
|
|
クール便(冷蔵)
|
+
¥
330
|
数量1点ごとに送料が発生します。
|
| 種別 |
|
| 産地 |
香川県
|
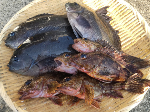
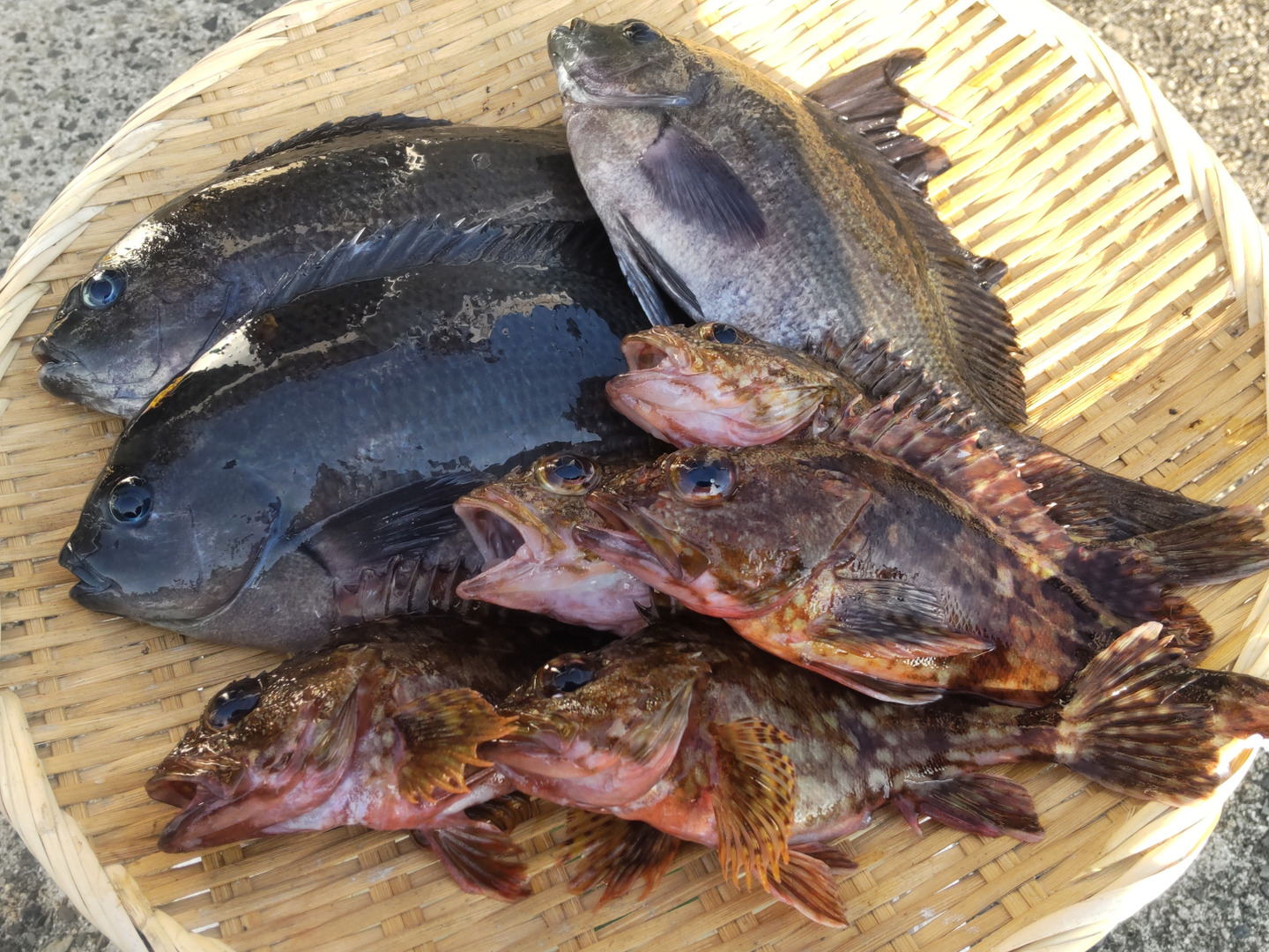
訳あり
-
生産者都合による訳あり
サイズなどに問題はあるが味や品質には問題のないお魚の詰め合わせ
商品説明
味
栽培・生産のこだわり
産地の特徴
品種の特徴
市場に出回りにくいでも美味しさにはまったく問題のないお魚です。
漁獲量が多すぎて値がつかないあまり知られない種類で流通が少ないこうした理由で未利用のまま捨てられてしまうお魚で美味しく食べてもらえる形でお届けします。
その日の漁しだいで写真と違うこともあります。