あわせ買い対象
同生産者の別の「あわせ買い対象」商品と一緒にご注文いただくと、送料をまとめてお届けできる場合があります。
| 内容 |
80サイズの箱にいっぱい4kg程度
|
| 発送 |
|
ヤマト運輸(食べチョク特別送料)
|
|
|
送料
|
¥
|
|
クール便(冷蔵)
|
+
¥
330
|
数量1点ごとに送料が発生します。
|
| 種別 |
|
| 産地 |
静岡県
|
賞味期限 / 保存方法
発送から3日間
到着後冷蔵庫にて保存のうえ、お早めにお召し上がりください
規格外
-
生産者都合による規格外
小さくて値段がつかない魚や、そもそも未利用魚で流通しない魚が混じります。
商品説明
▼商品概要
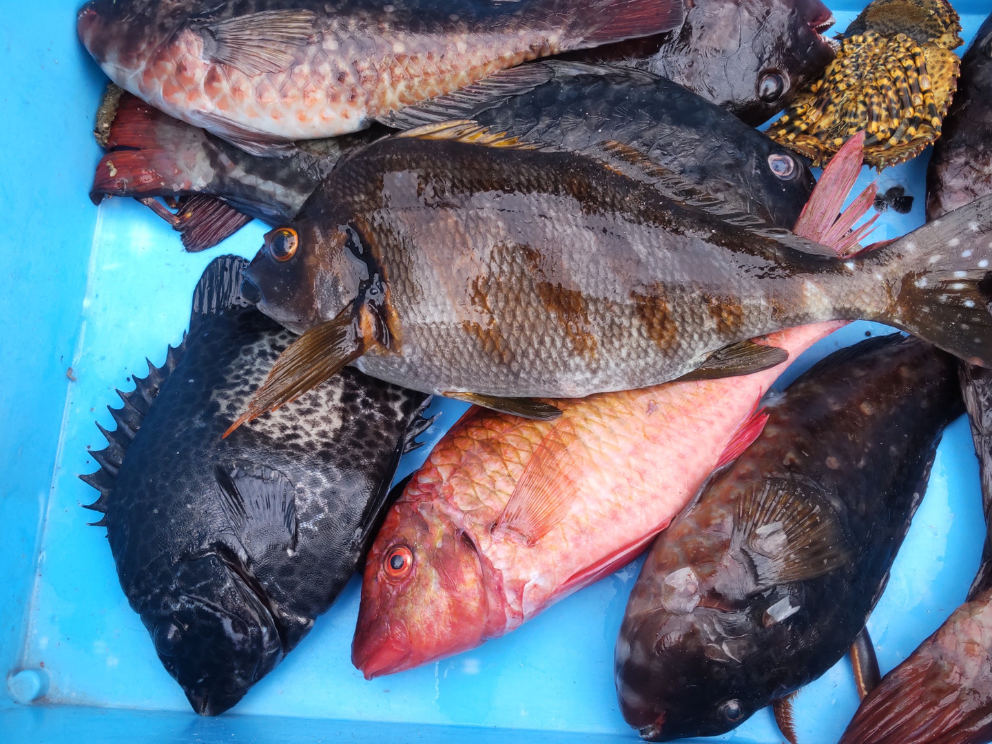
イセエビ漁の網にはイセエビだけでなく魚もかかります。その多くは市場に出しても値段がつかない、いわゆる未利用魚です。ブダイなどは自分たちで食べたりもしますが、近年網にかかる量が増えてきて処理しきれないのが現状です。また、ブダイは海藻を好んで食べる魚で、磯焼けの原因ではないかとされています。実際、私達の地区の海域でも磯焼けが進行し、貝類の水揚げが減っており、隣の地区ではこのブタイを駆除目的で捕獲しています。
なんとかこの厄介者のブダイを有効活用したいと思い、商品を企画しました。
ブダイの他にも小さいイシガキダイやタカノハダイ、オキナヒメジなどがとれますので、色々な魚をミックスしてお送りします。
▼品種・味の特徴
ブダイ:最も多くとれる魚です。上品な白身には脂はほとんどのりませんが、強い旨味があります。大型のものはコリコリとした歯ごたえを活かしてお刺し身がオススメです。醤油に漬けてにぎり寿司にした伊豆諸島の郷土料理「島寿司」も絶品です。わさびのかわりに和からしをつけるのがポイントです。
小さめのブダイは煮付けに。コラーゲンたっぷりで煮汁の煮こごりも楽しめます。
その他の魚も全てお刺し身で召し上がれる鮮度です。まずはお刺し身にしてみるのが良いと思います。それぞれ違った美味しさが楽しめます。
▼数量、分量の目安
80サイズの箱にいっぱい詰めます。大きなブダイで3~4匹、小さいものだと7~8匹入ります。
▼注文に際しての注意点(配送方法や納期指定など)
イセエビ網漁にかかった魚です。網にかかった後ヒレを小さなカニにかじられてしまっている魚もいます。品質に変わりはありませんので、混ぜてお入れします。あらかじめご了承ください。
網を仕掛ける場所によって魚のかかる量がまちまちです。お届けまでにお時間がかかる場合もございますのでよろしくおねがいします。