お届け地域 北海道 青森県 岩手県 宮城県 秋田県 山形県 福島県 茨城県 栃木県 群馬県 埼玉県 千葉県 東京都 神奈川県 新潟県 富山県 石川県 福井県 山梨県 長野県 岐阜県 静岡県 愛知県 三重県 滋賀県 京都府 大阪府 兵庫県 奈良県 和歌山県 鳥取県 島根県 岡山県 広島県 山口県 徳島県 香川県 愛媛県 高知県 福岡県 佐賀県 長崎県 熊本県 大分県 宮崎県 鹿児島県 沖縄県 お届け日は指定できません。 ご注文後の1〜15日以内で発送します。 平均4日以内で発送されています
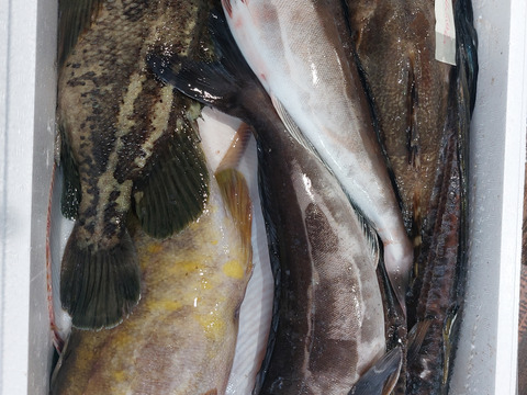
商品について あわせ買い対象 同生産者の別の「あわせ買い対象」商品と一緒にご注文いただくと、送料をまとめてお届けできる場合があります。 生産者からのお知らせ 年末年始の発送についてのお知らせ平素よりご利用いただき、誠にありがとうございます。誠に勝手ながら、年内の最終発送は12月25日とし、12月26日~1月5日まで発送業務を休止いたします。※ご注文は休業期間中も随時受付しております。なお、天候や水揚げ状況により • 発送業務が早期終了となる場合 • 状況次第で操業・発送を延長する場合がございます。また、マダラにつきましては水揚げ状況次第で、12月26日以降も発送対応が可能となる場合がございます。詳細は商品ページまたは個別にご案内いたします。休業期間中にいただいたご注文は、1月6日より順次発送いたします。何卒ご理解のほどお願い申し上げます。 もっと見る 内容 竹コース 春夏は3~5kg 秋冬は5~8kg 発送 ヤマト運輸(食べチョク特別送料) 送料 ¥ クール便(冷蔵) + ¥ 715 数量1点ごとに送料が発生します。 種別 魚介類 魚介セット 魚介類 魚 ホッケ 魚介類 貝類 つぶ貝 魚介類 イカ その他イカ 魚介類 魚 品種おまかせ 産地 北海道 天然 魚介類 贈答品 家庭用 つぶ貝 その他イカ 魚介セット ホッケ 品種おまかせ 北海道x魚介類 北海道x魚 北海道x貝類 北海道xイカ 北海道x魚介セット 北海道xホッケ 北海道xつぶ貝 北海道xその他イカ 北海道x品種おまかせ 商品説明 ▼商品概要知床羅臼直送、船頭が自信をもって良いものをよりすぐった、お得な詰め合わせセットです。何が入ってくるかは、届いてからのお楽しみ。時期や現場によって、水揚げされる魚種、大きさが変わります。魚こよみは、写真をご参照くださいませ。【梅コース】は、小サイズホッケ、ヤナギノマイ、エゾメバル等のお求めやすい鮮魚を中心にランダムに選んで3~5kg【竹コース】は、中サイズホッケ、アオゾイ、シマゾイ、ギンガレイ、アイナメ等、少し高級感を出してランダムに選んで3~5kg【松コース】は、大サイズホッケ、キンキ、オヒョウ、大きなハッカク等の高級魚を中心にランダムに選んで3~5kg【極コース】は、キンキ、メヌケ、ホシガレイ、サメガレイ等の最高級品のみをランダムに選んで3~5kg※【松コース】【極コース】は、ご用意出来るまでお時間をいただきます。基本、冷水〆ですが、活〆や、神経〆をご希望の方は、事前にお問合せ下さい。コースや時期により、ご希望に沿えない事がございます。なお、神経〆や血抜きは、生食を可能にする技術ではございません。生臭さの低減や、鮮度を高く維持しやすくする為の技術です。魚の生食には、アニサキス、ヒスタミン中毒等の食中毒のリスクがあります。注意して頂くようにお願いします。アニサキスの心配な方は、加熱調理をするか3日程度冷凍して頂くとリスクは、軽減します。また、ブラックライトを照射しますと光りますので、ピンセットで取り除く方法もございます。▼数量、分量の目安春夏は3~5kg秋冬は5~8kg▼注文に際しての注意点(配送方法や納期指定など)天候などの影響により、水揚げができ次第、発送になります。なお、違う商品がきた、明らかな腐敗があったなど除いて、お客様都合の返品はお断りします。漁法が刺し網の為、網の締め付け跡や、鱗の擦れ等ございますが、品質には問題ございません。 もっと見る この商品のことをお友達にもシェアしませんか ポスト シェア
丸の野水産 北海道目梨郡羅臼町 53いいね 食べチョクAWARD受賞歴 受賞回数 2回 水産物 生産者のこだわり 1 鮮度維持の為の冷水装置 2 新鮮な鮮魚のみ、発送致します。 最近のメディア実績 2022年10月2日 きまぐれクック様 鮮魚ボックス https://youtu.be/80tGZb56Ysg 2022年10月17日HTB北海道テレビ 未利用魚特集 https://youtu.be/5COFrg3ae5E へんな魚おじさん様(未利用魚ボックス) サケビクニン https://youtu.be/P-b1zMz5NFw?si=jzg4anBt6ILiPvrg ガンコ https://youtu.be/fWHZFtgyqgs?si=XMyPmEakDVGa9qv2 オオカミウオ https://youtu.be/EGrfF_GWXnw?si=EcvU88sRiHziFgIp トゲカジカ(ナベコワシ)https://youtu.be/13AWLbwg6z0?si=6JL68RN5EDKI6zrf 未利用魚ボックス https://youtu.be/DcylKcP6iAQ?si=ETeg6qbz_bp9KkoV 未利用魚ボックス https://youtu.be/LRmwmoIxUwU?si=V5_Jc7hV6UMDRH93 海と日本プロジェクト(未利用魚ボックス) https://youtu.be/Sp4EPxvSPHk?si=JiRXxQ2yYvbGDeZr