あわせ買い対象
同生産者の別の「あわせ買い対象」商品と一緒にご注文いただくと、送料をまとめてお届けできる場合があります。
| 内容 |
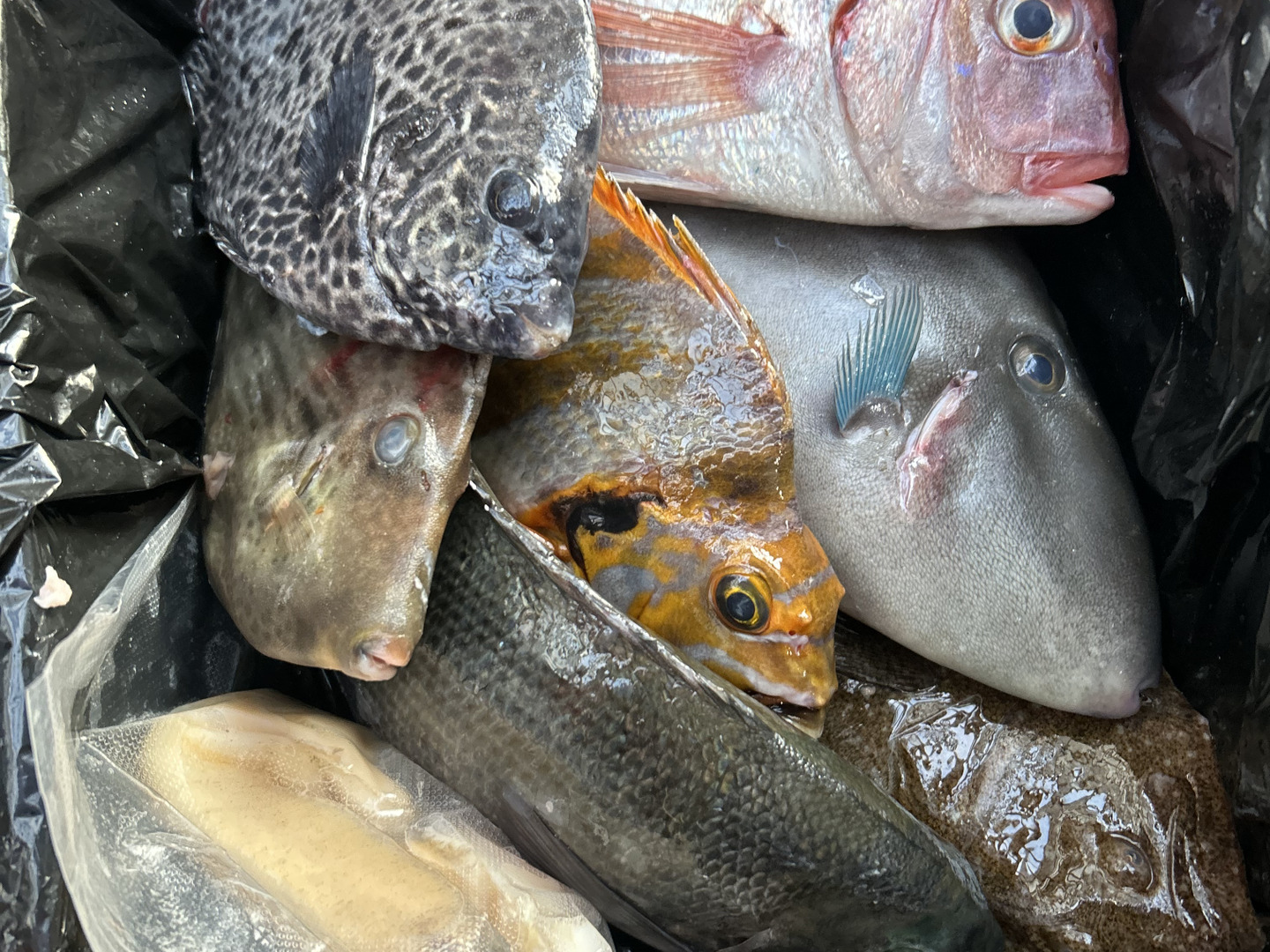
その日に取れたオススメの鮮魚4〜6種類
|
重量・ 容量 |
約5kg
|
| 発送 |
|
ヤマト運輸
|
|
|
送料
|
¥
|
|
クール便(冷蔵)
|
+
¥
440
|
数量1点ごとに送料が発生します。
|
| 種別 |
|
| 産地 |
愛知県
|
賞味期限 / 保存方法
発送から3日間
キッチンペーパー、サランラップ、アルミホイルを巻いて保存
商品説明
【商品説明】
★皆様,数ある生産者様の中から日間賀島の漁師【島漁師リント】にご興味を持っていただきありがとうございます!
日間賀島の海は森林から常に大量の栄養豊富なミネラルが流れ続けている➕外海の綺麗な水が入れ混ざり🟰プランクトンが大量発生し続けています。
そんな素晴らしい宝の海とも呼ばれる愛知県の海の実力は、
クルマエビ、ワタリガニ、貝類の漁獲量
【日本一位】なのです‼️
宝の海で採れた魚介類をこの機会に是非一度ご賞味下さい!
【内容】
•届くまで何が入っているのかわからない島漁師オススメ鮮魚セット!
•春夏秋冬旬の魚を厳選して選んだ魚を詰めます。
【こだわり】
①《魚は鮮度が命》魚の〆方には特に気を使います。
※まず発送する1時間ほど前に魚を脳天締めで魚を苦しめないようにした後に
•血抜きをしっかり行い
•神経〆で神経を刺激して身を引き締めてから、
更に塩氷水の中に5分から30分魚で時間をつかい分けて入れて冷やし込み
•氷焼けしないように包装して発送します!
※価格を合わせるために氷〆個体を梱包することもあります❗️
氷〆個体も船上で弱っていた個体を
水揚げ直後に氷締めしますので刺身用です
⚫︎更にグレードを求める方は【日本最先端特許技術✴︎渦巻処理&海の宝箱】をお求め下さい!
②魚を捌く事・下処理•料理が
苦手な方でも,こちらで最後までサポートさせて頂きます❗️
07016175878にいつでも気軽にお問い合わせ、お電話ください!
【今主に詰める魚とおすすめの食べ方】
・ホウボウ(刺身、煮付け、天ぷら、フライ
・イサキ(煮付け、塩焼き、刺身、フライ
・グレ(フライ、刺身、塩焼き、煮付け
•アコウ,キジハタ(刺身,煮付け
・カワハギ(肝醤油で刺身、煮付け、唐揚げ
・ヒラメ(刺身、煮付け、炊き込みご飯
・チダイ(刺身、煮付け、塩焼き、炊き込みご飯
・真鯛(刺身、塩焼き、炊き込みご飯
・カンパチ(刺身、塩焼き、煮付け、
・カサゴ(煮付け、刺身、唐揚げ
・カレイ(煮付け、刺身
・イシダイ(刺身
・平貝(刺身、バター炒め、塩胡椒炒め、干物、
•マゴチ(刺身、煮付け、唐揚げ
•テンス(フライ,天ぷら,煮付け,刺身
•ニベ(フライ,天ぷら
•タカノハ(1月から4月は臭みが無く美味しいので,刺身がオススメです❗️いい脂があって美味しいです🤭
•スズキ
•イシガレイ
•タコ🐙
【報告】
⚠️お誕生日等お届けを指定したいお客様は、メッセージ欄に御記入願います。出来るだけ合わせるよう努力します。
⚠️購入前に魚の種類数、『こんな魚が欲しい』と希望の魚を出品中の商品の中から選んで、ご注文頂ければ出来る限り希望の個体を入れて発送致します❗️
⚠️個体の中にはどうしても【打ち身】個体がいる可能性があります💦そちらは何処の魚を買っても中身を開けてみないとわからないです。
何卒自然相手ですのでご了承願います。
ですが、打ち身個体も鮮度には問題は無いので刺身でも十分に食べれますが、気になる場合は打ち身の部分だけ切り取って刺身をお勧めします🙇♂️
⚠️もしあまりにも酷い個体があると写真で判断できた場合は返金いたします!
⚠️時期によっては高級魚を詰めるため2.3種類の場合もございます!
⚠️魚介類はその日に取れた個体を送るので漁の都合…天候の都合により発送が遅れてしまう場合があります。
遅れが生じる場合には事前にサイト内のメールにて連絡させて頂きますのでご了承願います。