メニュー
メニュー
ゲスト
さん
ログイン
新規会員登録
商品を探す
商品
生産者
産地
特集
カテゴリー
ふるさと納税
関連サービス
定期便一覧
ギフトカード
食べチョク市場
(ミニゲーム)
コンテンツ
みんなの投稿
レシピ一覧
ヘルプ
食べチョクとは?
ガイド/お問い合わせ
生産者さん・法人の方
出品希望の方はこちら
飲食店の方はこちら
産地直送通販 食べチョク
すべての生産者
香川県の生産者
三浦水産
投稿一覧
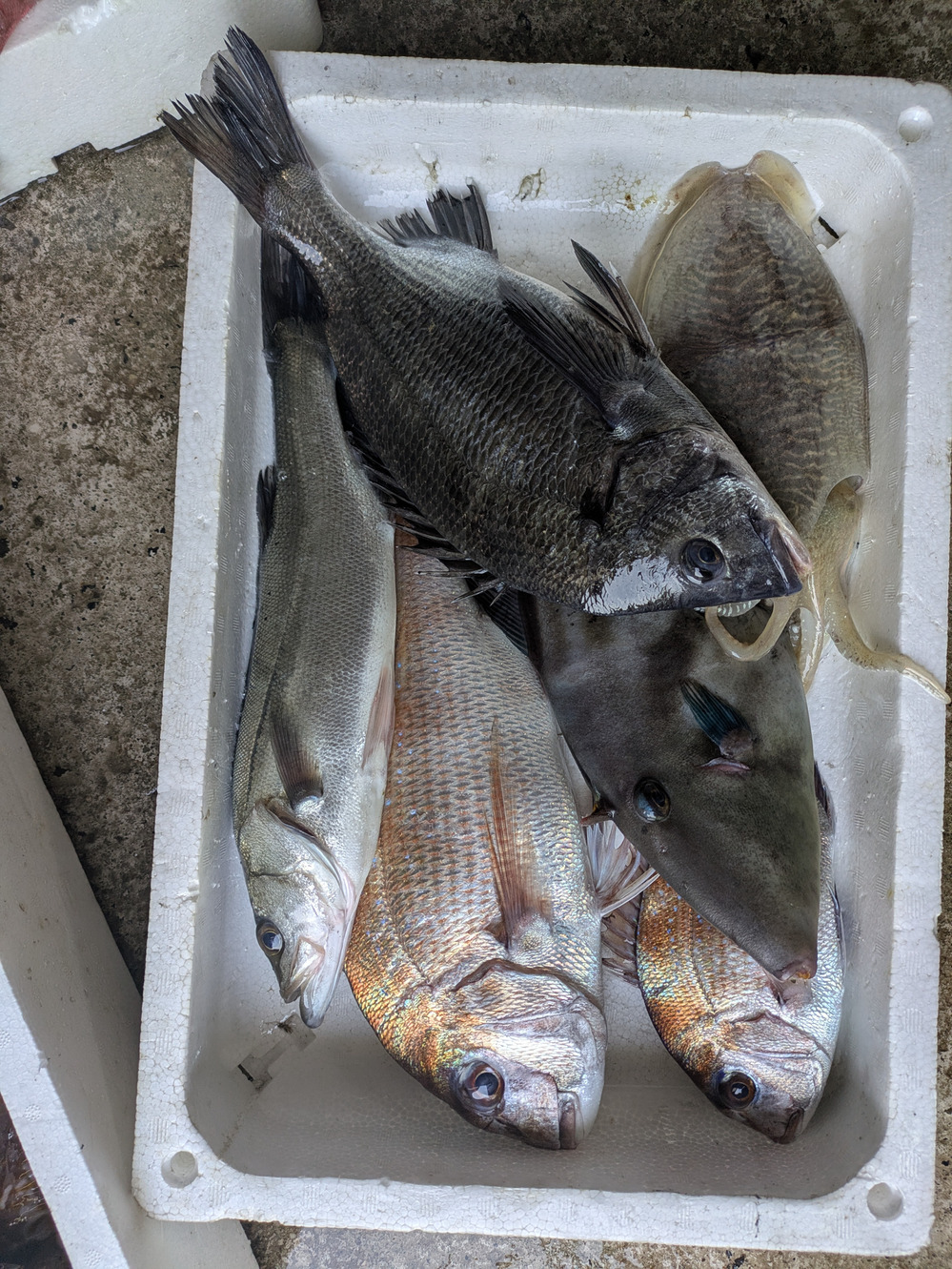
やっと大漁でした。
三浦水産
生産者について
商品一覧
届いた声
投稿一覧
動画一覧
レシピ一覧
一覧から探す
すべての商品を見る
すべての生産者を見る
すべての産地を見る
おすすめの投稿を見る
すべてのレシピを見る
定期便の一覧を見る
ふるさと納税の返礼品を見る
特集記事を見る
やっと大漁でした。
2025/04/18
今年は例年に比べ水温が1度低く
魚の活性が悪く不漁続きでした。
急に温かくなり今日は大漁!
ご注文お待ちいたします。
いいね! 11 件
ポスト
シェア
あだっちゃん
オー(ノ`•ω•)و
\( *°ω°* )/ヤッタ-!!
コメントはこちらから
この投稿をした生産者
香川県 小豆島
三浦水産
もっと詳しく
気になる投稿
2026/03/17
ガソリン高騰。しゃれならんやろ。
2026/01/18
ご入用ございませんか?
2025/11/30
久しぶりの投稿です
2025/09/02
ダメだ こりゃ!
前の記事
新しい記事
一覧に戻る
この生産者の商品
自治体連携商品
小蛸 (水揚げ時重量0.4~0.6kg/1杯)×2匹 一番美味しいサイズ
約1kg
4.8
(90件)
¥3,500
香川県小豆島
三浦水産
自治体連携商品
小豆島の海の恵み。旬のお魚お任せ鮮魚ハーフセット(5~7匹)
4.8
(86件)
¥3,850
香川県小豆島
三浦水産
自治体連携商品
瀬戸内小豆島産 真蛸(0.7㎏前後)
約1.4kg
4.8
(90件)
¥3,000
香川県小豆島
三浦水産
自治体連携商品
幻の魚 アコウ(キジハタ)0.9kg前後
約1.1kg
¥4,999
香川県小豆島
三浦水産
自治体連携商品
鱧 1本(1m/〜1kg )丸ごと骨切りしてお届け
約700g
¥5,000
香川県小豆島
三浦水産
自治体連携商品
鱧 1本(1m/1〜1.5kg前後 )丸ごと骨切りしてお届け
約1kg
5.0
(18件)
¥5,000
香川県小豆島
三浦水産
自治体連携商品
まどさん専用 鱧 1本(1m/〜1kg )丸ごと骨切りしてお届けと蛸0.8kg
約700g
¥8,000
香川県小豆島
三浦水産
自治体連携商品
幻の魚 アコウ(キジハタ)1.5kg弱・・・即発送
約1.6kg
¥9,000
香川県小豆島
三浦水産
商品一覧へ
生産者について
商品一覧
届いた声
投稿一覧
動画一覧
レシピ一覧
オー(ノ`•ω•)و
\( *°ω°* )/ヤッタ-!!