食べチョク
ゲスト さん
ログイン 新規会員登録
商品を探す
  • 商品
  • 生産者
  • 産地
  • 特集
  • カテゴリー
  • ふるさと納税
関連サービス
  • 定期便一覧
  • ギフトカード
  • 食べチョク市場
    (ミニゲーム)
コンテンツ
  • みんなの投稿
  • レシピ一覧
ヘルプ
  • 食べチョクとは?
  • ガイド/お問い合わせ
生産者さん・法人の方
  • 出品希望の方はこちら
  • 飲食店の方はこちら
  1. 産地直送通販 食べチョク
  2. すべての生産者
  3. 青森県の生産者
  4. 未来丸
  5. 投稿一覧
  6. 未来丸さんの投稿

未来丸
Producer Items

  • 生産者について
  • 商品一覧
  • 届いた声
  • 投稿一覧
  • 動画一覧
  • レシピ一覧

一覧から探す
All Items

  • すべての商品を見る
  • すべての生産者を見る
  • すべての産地を見る
  • おすすめの投稿を見る
  • すべてのレシピを見る
  • 定期便の一覧を見る
  • ふるさと納税の返礼品を見る
  • 特集記事を見る
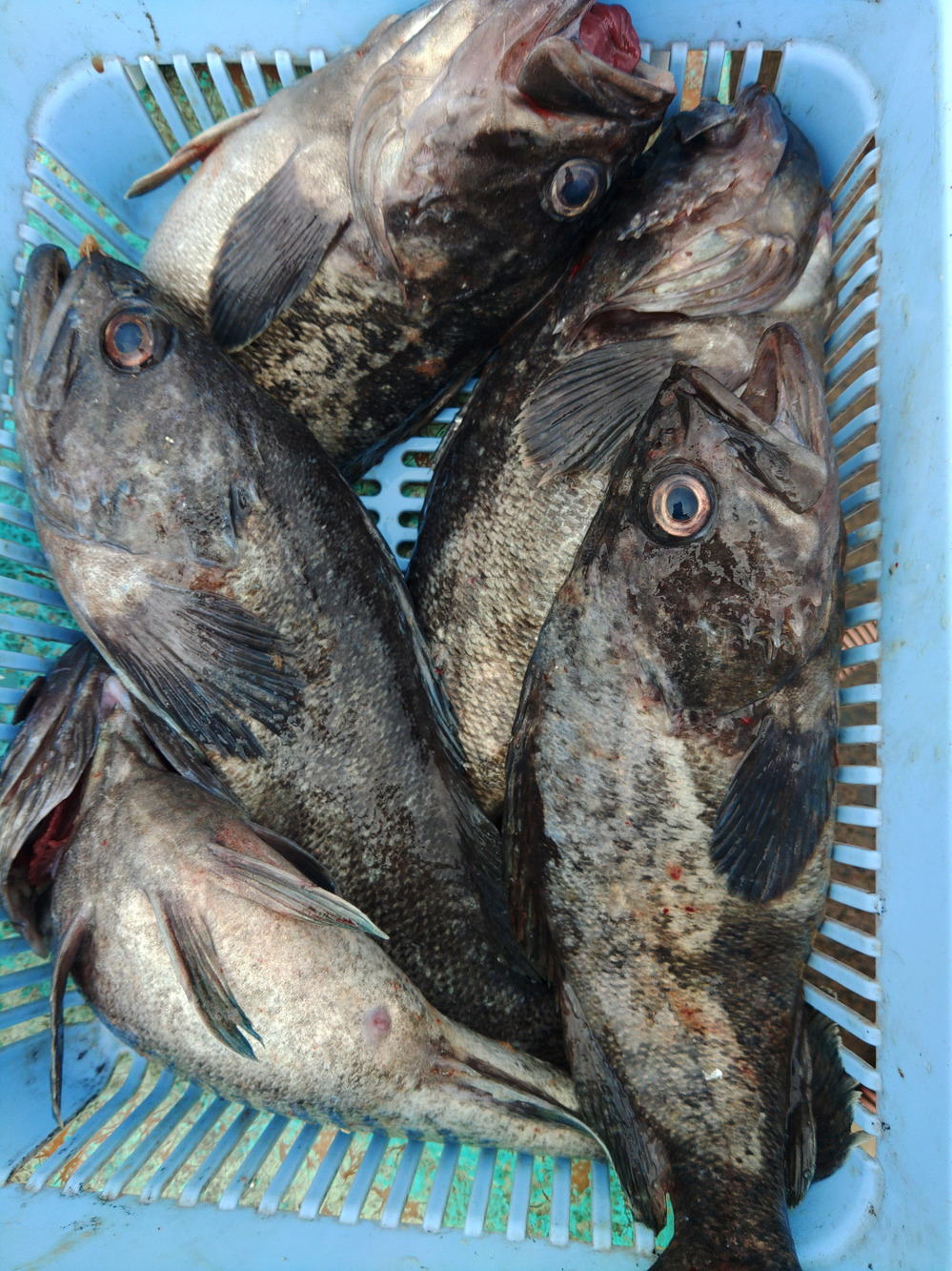
2026/03/04
春はいろんな魚がとれます。
一年のうちで一番魚種が多く、定置網も色とりどりになります。

箱いっぱい!深浦の天然鮮魚セット(80サイズ)【母の日ギフト】などにもどうぞ!

いいね! 1 件
  • ポスト
  • シェア
コメントはこちらから

この投稿をした生産者

未来丸

青森県 西津軽郡深浦町

未来丸

もっと詳しく

気になる投稿

2026/04/21
アジが入りました。
いいね! 1 件 コメント0件
2026/04/18
海水氷で!
いいね! 4 件 コメント0件
2026/04/09
マスが久々にたくさん!
いいね! 1 件 コメント0件
2026/03/31
ナマコがたくさんとれました!
いいね! 1 件 コメント0件
前の記事 新しい記事
一覧に戻る

この生産者の商品

【刺身用】春の天然ウマヅラハギ 大型3匹(300g以上)【日本海】【深浦】 【未来丸厳選】
自治体連携商品

【刺身用】春の天然ウマヅラハギ 大型3匹(300g以上)【日本海】【深浦】 【未来丸厳選】

約900g

¥3,580

未来丸

青森県西津軽郡深浦町

未来丸

【10匹セット】春の天然ウマヅラハギ 【1匹あたり300g以上のもの】
自治体連携商品

【10匹セット】春の天然ウマヅラハギ 【1匹あたり300g以上のもの】

約3kg

¥12,500

未来丸

青森県西津軽郡深浦町

未来丸

箱いっぱい!深浦の天然鮮魚セット(80サイズ)【母の日ギフト】などにもどうぞ!
自治体連携商品

箱いっぱい!深浦の天然鮮魚セット(80サイズ)【母の日ギフト】などにもどうぞ!

約3kg
5.0
(17件)

¥3,280

未来丸

青森県西津軽郡深浦町

未来丸

商品一覧へ
  • 生産者について
  • 商品一覧
  • 届いた声
  • 投稿一覧
  • 動画一覧
  • レシピ一覧

アプリ内のゲームで遊んでクーポンをゲット!

iOS / Android アプリをダウンロード

  • Download on the AppStore
  • GET IT ON Google Play

注文したい

  • 食べチョクとは?
  • 食べチョク基準
  • 品質保証について
  • 飲食店の方へ

出品したい

  • 出品者募集

連携のご相談

  • 法人連携について
  • 自治体・省庁の方へ

食べチョクについて

  • 運営会社
  • ガイド/お問い合わせ
  • 運営からのお知らせ
  • 利用規約
  • プライバシーポリシー
  • 特定商取引法
  • 採用情報

LINKS

  • 食べチョクふるさと納税
  • Vivid TABLE(ビビッドテーブル)
  • 食べチョク コンシェルジュ
  • 食べチョク フルーツセレクト
  • 食べチョク ギフトカード
  • 食べチョク&more
  • iOSアプリ
  • Androidアプリ

都道府県(産地)から商品を探す

  • 北海道
  • 青森県
  • 岩手県
  • 宮城県
  • 秋田県
  • 山形県
  • 福島県
  • 茨城県
  • 栃木県
  • 群馬県
  • 埼玉県
  • 千葉県
  • 東京都
  • 神奈川県
  • 新潟県
  • 富山県
  • 石川県
  • 福井県
  • 山梨県
  • 長野県
  • 岐阜県
  • 静岡県
  • 愛知県
  • 三重県
  • 滋賀県
  • 京都府
  • 大阪府
  • 兵庫県
  • 奈良県
  • 和歌山県
  • 鳥取県
  • 島根県
  • 岡山県
  • 広島県
  • 山口県
  • 徳島県
  • 香川県
  • 愛媛県
  • 高知県
  • 福岡県
  • 佐賀県
  • 長崎県
  • 熊本県
  • 大分県
  • 宮崎県
  • 鹿児島県
  • 沖縄県
  • X(Twitter)
  • Instagram
  • Facebook
  • LINE
Copyright © 2017 vivid garden Inc.